Reportan saldo blanco en Quintana Roo tras paso de huracán Milton
Pese a que se preveía que durante la noche y la madrugada se registrarían fuertes lluvias, las precipitaciones pluviales fueron mínimas.
La naturaleza regaló a Quintana Roo, en su 50 aniversario como estado, saldo blanco en los municipios de la zona norte del territorio, acechados por los efectos del amenazante huracán Milton, que se pensó se traducirían en potentes vientos e intensas lluvias.
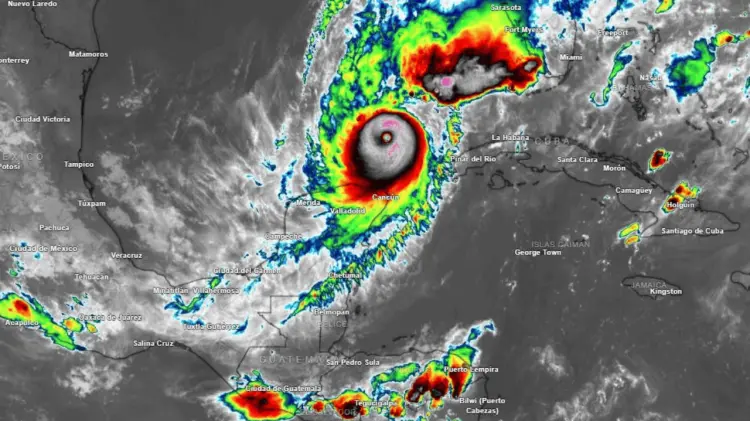
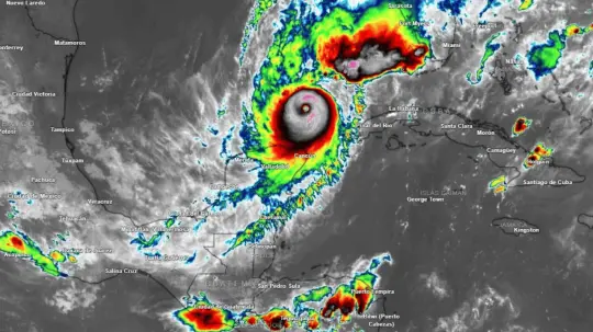
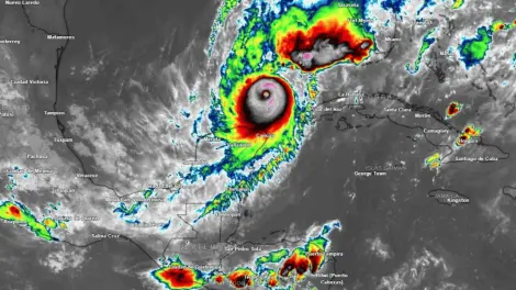
Este fenómeno hidrometeorológico avanzaba desde ayer lunes con categoría 5 en la escala Saffir-Simpson, pero bajó a categoría 4 enfilándose hacia el norte durante la madrugada y el resto del día con dirección a Tampa, en Florida, Estados Unidos.
El ciclón, que en la tarde se intensificó nuevamente a categoría 5 en su avance sobre el Golfo de México, mantiene esta noche a Cancún, Puerto Morelos, Cozumel, Lázaro Cárdenas e Isla Mujeres en Alerta Verde, peligro bajo, en fase de alejamiento gradual.
La gobernadora, Mara Lezama, consideró que Milton fue "benévolo" con el estado, en donde se pronosticaban copiosas lluvias y vientos intensos.
Contrario a ello, no se registraron afectaciones mayores, lo que dio margen a retomar los festejos programados este martes, para conmemorar el paso de Quintana Roo de territorio a entidad federativa, hace 50 años.
La sesión solemne se celebró la tarde de este martes en Chetumal, capital del estado, en el Congreso local, con la presencia de Lezama Espinosa, quien informó que se mantiene presencia gubernamental en la isla de Holbox, municipio de Lázaro Cárdenas, más cercano al cono de aproximación del huracán, que pasó frente a costas yucatecas y prosiguió hacia las quintanarroenses, alejándose hacia el norte.
Cancún se normaliza tras el paso de Milton
Pese a que se preveía que durante la noche y la madrugada se registrarían fuertes lluvias, las precipitaciones pluviales fueron mínimas.
El transporte público operó con la normalidad propia de un día sin clases en todos los sistemas educativos y la ausencia laboral en algunas fuentes de trabajo, porque en la mayoría de los casos las actividades se retomaron hoy mismo.
Desde temprano personal de Servicios Públicos se encontraba en las calles, limpiando banquetas y coladeras de basura y hojarasca acumulada. Diversos negocios y tiendas de autoservicio comenzaron a abrir sus puertas al público.
La zona turística despertó tarde, pero justo para recibir a turistas durante la tarde-noche en bares y restaurantes que durante el día realizaron labores de limpieza habituales.
En la zona de playas la gente ya se encontraba tomándose selfies, fotos de boda y paisaje; los arenales con el mar, aún embravecido, fueron punto de reunión de amigos, familias y parejas, lo mismo que de trabajadores que aprovecharon para echarse una 'pestañita' sobre la arena reblandecida, luego de ser bañada por la marea, que subió unos metros más.
En el Aeropuerto Internacional de Cancún el ritmo fue el habitual para un día entre semana. El número de operaciones programadas, de acuerdo con el Grupo Aeroportuario del Sureste (ASUR) fue de 376, 188 de ellas nacionales y 101, internacionales.
Por efecto de Milton, se reportaron 11 cancelaciones para vuelos de llegada y 12 para vuelos de salida, así como una demora ayer lunes y otra hoy martes.
Recorrido
Durante el recorrido realizado por El Universal, se observó que todavía la tarde-noche de este martes había embarcaciones particulares, turísticas y pesqueras resguardadas entre canales y manglares del Sistema Lagunar Nichupté, mientras que las actividades en Puerto Juárez no se habían reanudado y los barcos se mantenían bajo abrigo.
En la ciudad, el director de Protección Civil del municipio de Benito Juárez, Antonio Riverol, indicó que el balance del huracán fue positivo, sin afectaciones.
"Ninguna zona tenemos afectada, realmente no nos ha llovido, el balance del acumulado de lluvia fue de 20 milímetros de agua, que es muy poco significativo", dijo, al ser entrevistado durante una supervisión al fraccionamiento Bahía Azul, cuyas calles aún no logran desfogar por completo el agua anegada desde la tormenta-huracán 'Helene', hace casi dos semanas.
El funcionario reconoció que en principio se pensó que Milton traería consigo una gran cantidad de agua, lo cual no sucedió.
"Se pronosticaban hasta 200 milímetros de agua que cayeran en cuatro días, gracias a Dios y afortunadamente no sucedió eso. Se pronosticaban vientos de 180-200 kilómetros por hora para el tema del norte del estado, específicamente Lázaro Cárdenas y Holbox; nosotros vientos de tormenta. Hasta el momento no se cumplieron esos pronósticos", dijo, al adelantar que para la tarde se pasaría de Alerta Amarilla a Verde, lo cual sucedió.
Por separado, el secretario general del Ayuntamiento, Pablo Gutiérrez, manifestó que el saldo fue blanco, que los trabajos preventivos realizados por mil 80 empleados rindieron frutos y que se estuvo recorriendo tanto la ciudad como la zona turística para garantizar la seguridad o auxiliar a la ciudadanía.
"La ciudad no tuvo ningún problema; afortunadamente no cayó mucha agua. Benito Juárez está prácticamente de vuelta a la normalidad", afirmó, para luego informar que se abrieron cinco refugios, en los cuales se recibió a 53 personas.


